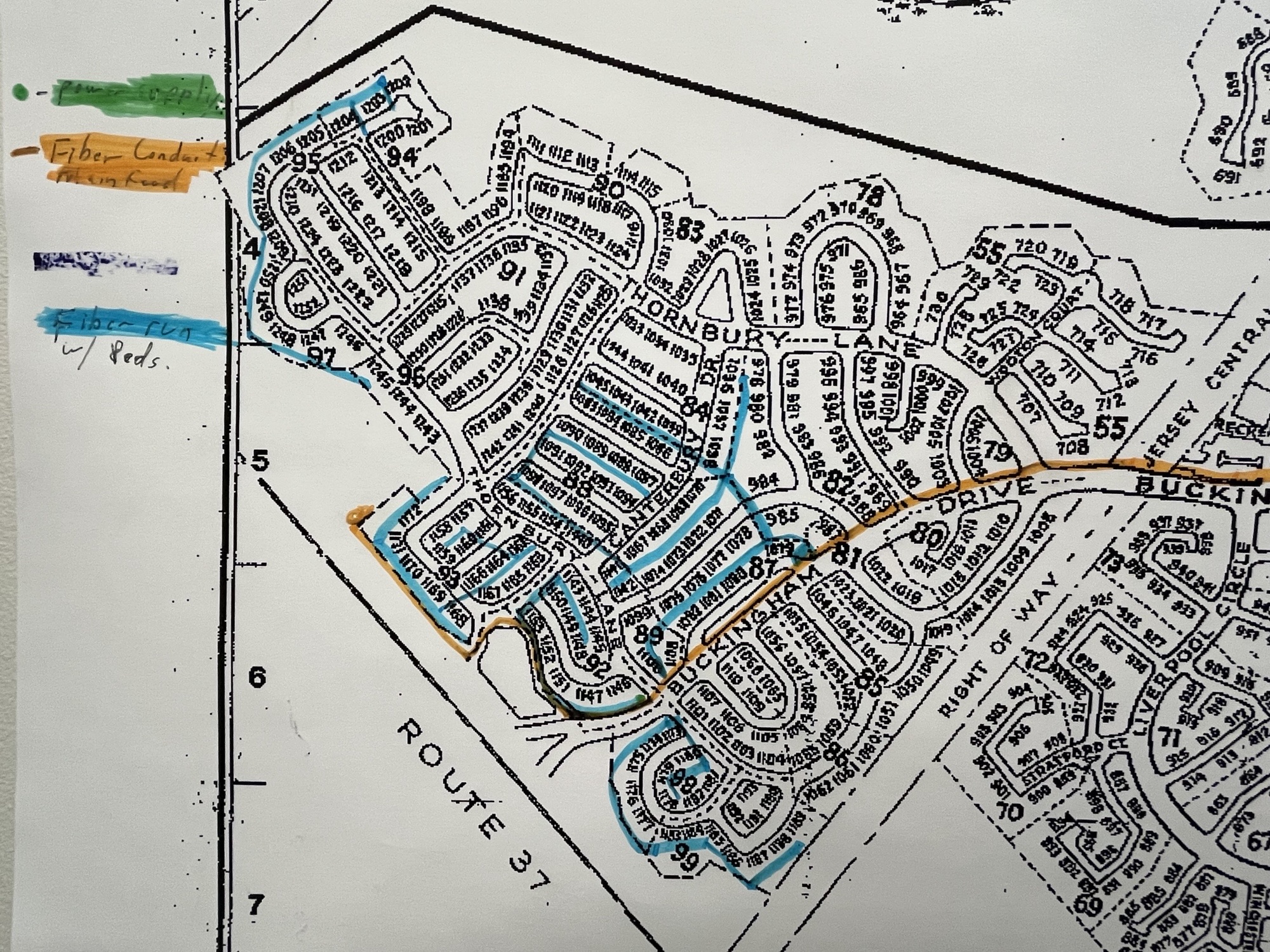
Comcast/Xfinity Update (Part Two)By Site Admin / June 16, 2025 Comcast – Xfinity – the attached maps provide the areas where the main service for Xfinity has been installed. Work is ongoing and the individual drops to the homes should begin in about 2 weeks. We will keep you advised of the status.